ua en ru

В Японии из-за тайфуна обесточены около 900 тыс. домов

08:14 09.09.2019 Пн
1 хв
Ожидается, что тайфун настигнет Японию сегодня
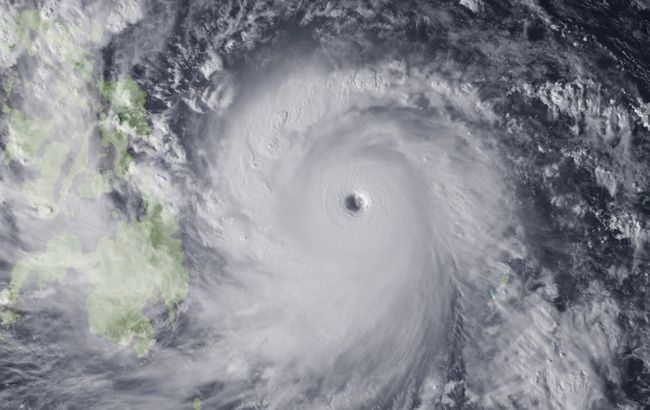
В Японии из-за тайфуна обесточены около 900 тыс. домов Иллюстративное фото (gettyimages)

В Японии более 885 тысяч домов остались без электричества из-за тайфуна "Факсай". Об этом в Twitter информирует энергетическая компания TEPCO в Twitter.

Компания предупредила, что из-за отключения электричества могут возникнуть проблемы с дозвоном в колл-центр.

Метеорологическое агентство Японии прогнозирует, что тайфун настигнет Японию с 8 на 9 сентября в префектуре Сидзуока. Синоптики среди прочего обещали сильный дождь и ветер, в том числе в районе Токио.

Японские власти сообщают, что от стихии пострадали уже 22 человека. Власти предупредили более 390 тыс. человек о необходимости эвакуироваться.

Десять потерпевших получили травмы в округе города Татеяма, префектуры Тиба. Такое же число пострадавших в одноименной административном центре Тибы. Еще двое человек получили травмы в префектуре Канагава.

Железнодорожная компания East Japan Railway приостановила на 9 сентября движение поездов в регионе Канто.

Напомним, в Японии в связи с приближением тайфуна "Факсай" авиакомпании отменили 103 рейса.

Або читайте нас там, де вам зручно!
Більше по темі: