ua en ru

Индия в ожидании сильнейшего шторма за десятилетие: эвакуированы около миллиона людей

11:59 19.05.2020 Вт
2 хв
Сила ветра будет достигать 265 км/ч
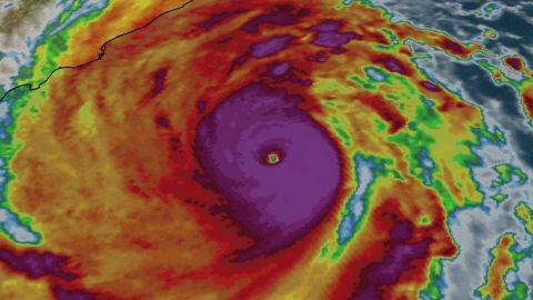
Индия в ожидании сильнейшего шторма за десятилетие: эвакуированы около миллиона людей Фото: тропический циклон "Амфан" (twitter.com weatherchannel)

К восточным берегам Индии и Бангладеш приближается один из самых сильных тропических циклонов за десятилетие - "Амфан". Власти объявили о эвакуации около миллиона жителей, живущих в районах вероятного следования шторма.

Об этом сообщает РБК-Украина со ссылкой на Aljazeera.

По данным управления погоды Индии, "суперциклон Амфан" достигнет Бенгальского залива сегодня ночью, ожидаются порывы ветра до 240 км/ч с увеличением до 265 км/ч. По словам метеорологов, это может быть один из самых сильных штормов, которые обрушаться на Индию за последние 10 лет.

При этом отмечается, что эвакуация людей происходит в места, которые были определены как карантинные центры для больных коронавирусом и контактных лиц.

"У нас осталось всего около шести часов, чтобы эвакуировать людей с их домов, и мы также должны соблюдать норм социального дистанцирования... Циклон может смыть тысячи хижин и весь урожай", - сказал представитель федерального управления по борьбе со стихийными бедствиями.

Поезда, курсирующие по маршруту вероятного следования циклона, также изменили маршруты.

Напомним, в несколько лет назад на побережье Бангладеш обрушился тропический циклон "Роану", погибли шесть человек. До этого шторм вызвал крупнейшее за 25 лет наводнение на Шри-Ланке и разрушительные оползни.

Также сообщалось о 761 смерти в результате удара тропического циклона "Идай" в Африке. Наводнения в Мозамбике унесли жизни 446 человек, в Зимбабве погибли 259 человек, в Малави - 56. Также в результате удара тропического циклона пострадали полмиллиона человек.

Або читайте нас там, де вам зручно!
Більше по темі: