ua en ru

Урагани, повені, хвилі холоду: страховики оцінили збитки від стихії за 2021 рік

15:25 12.01.2022 Ср
2 мин
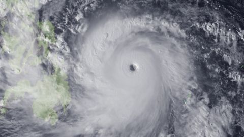
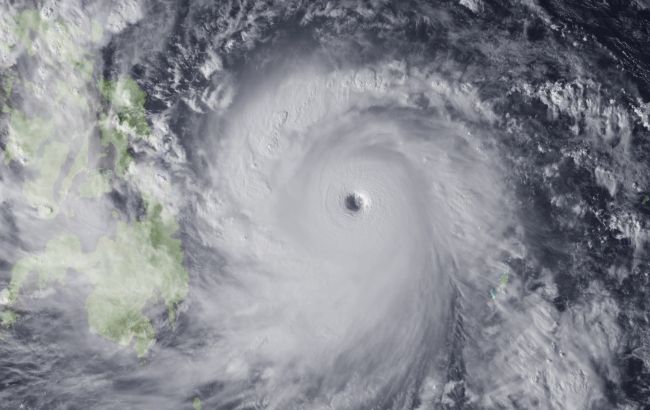
Урагани, повені, хвилі холоду: страховики оцінили збитки від стихії за 2021 рік Фото: стихія принесла збитків на 280 млрд доларів (Getty Images)

У 2021 році стихійні лиха завдали загального збитку в розмірі 280 млрд доларів США, з яких приблизно 120 млрд доларів були застраховані. Загальні втрати стали четвертими за величиною на сьогоднішній день (в рекордний 2011 рік вони досягли 355 млрд).

Про це повідомляє РБК-Україна з посиланням на оцінку перестраховика Munich Re.

На США припала дуже висока частка збитків від стихійних лих в 2021 році (приблизно 145 млрд доларів), з яких було застраховано близько 85 млрд доларів.

Найдорожчим стихійним лихом у 2021 році став ураган Іда, який обрушився на сушу 29 серпня в 90 км на південь від Нового Орлеана як сильний ураган (категорія 4, друга за руйнівністю) при швидкості вітру близько 240 км /год.. Десятки тисяч будівель були пошкоджені або зруйновані. Система дамб Нового Орлеана, яка була посилена після урагану Катріна у 2005 році, витримала штормові хвилі, тим самим запобігши набагато більш високі втрати.

Потім Ураган Іда попрямував на північний схід, викликавши сильну повінь, зокрема, в Нью-Джерсі і столичному районі Нью-Йорка.

В цілому ураган Іда завдав збитків у розмірі 65 млрд доларів США, з яких приблизно 36 млрд доларів США було застраховано (55%). Всього загинуло 114 осіб.

У Європі проливні дощі в липні 2021 року спровокували виключно сильні повені, особливо в Західній Німеччині. У постраждалих регіонах кількість опадів, була найвищою за більш ніж сто років. Повені змили значну кількість будівель. Також було завдано серйозної шкоди інфраструктурі, такій як залізничні колії, дороги і мости. Загинули понад 220 осіб.

Загальні збитки склали 54 млрд доларів. Застрахована частина була відносно низькою через незастраховані втрати інфраструктури та обмеженість страхування від повеней у Німеччині. Всього було застраховано 13 млрд доларів.

У лютому виняткова хвиля холоду принесла мінусові температури навіть на південь США. Температура -8 градусів була зафіксована в місті Х'юстон на півдні Техасу. Хоча в штаті Техас приблизно раз в десятиліття трапляються великі заморозки, енергетика, інфраструктура і будівлі штату часто недостатньо підготовлені до таких умов. Мільйони людей залишилися без електрики. В цілому, зі збитками в розмірі 30 млрд доларів (половина з яких були застраховані), ця подія стала третьою за величиною стихійним лихом року.

Или читайте нас там, где вам удобно!
Больше по теме: