ua en ru

В Японии готовятся к массовой эвакуации из-за тайфуна

11:31 15.08.2019 Чт
1 хв
Из-за надвигающегося шторма в Японии отменены сотни авиа- и железнодоржных рейсов
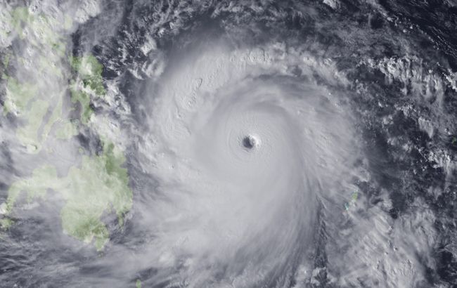
В Японии готовятся к массовой эвакуации из-за тайфуна Фото: тайфун (GettyImages)

Власти Японии призвали жителей островов Сикоку и Кюсю к эвакуации из-за надвигающегося тропического шторма "Кроса". Об этом сообщает РБК-Украина со ссылкой на местные СМИ.

В результате тайфуна как минимум 14 человек получили незначительные травмы. Японские власти советуют людям покинуть территории, которые будут подвержены тайфуну, так как, в некоторых регионах количество осадков может превысить 1000 мм.

По сообщениям японских метеорологов, скорость ветра составляет 108 км/ч, с порывами до 162 км/ч.

Авиа- и железнодорожние компании Японии уже отменили сотни рейсов. Ожидается, что количество отмененных авиарейсов будет расти. Туристов призывают проверять информацию о перелетах.

Ранее сообщалось, что надвигающийся шторм принесет на тихоокеанское побережье западной и восточной Японии сильные ливни.

Также, РБК-Украина писало, что в ночь с 9 на 10 августа на восток Китая обрушился мощный тайфун. В результате урагана погибло 13 человек, 16 считаются пропавшими безвести, также более 200 домов были разрушены, а более 3,2 тыс. - повреждены.

Або читайте нас там, де вам зручно!
Більше по темі: