ua en ru

Жертвами тайфуну в Китаї стали 13 людей

10:37 10.08.2019 Сб
1 мин
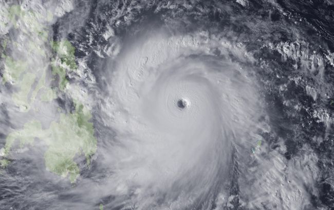
На схід Китаю обрушився тайфун "Лекіма"
Жертвами тайфуну в Китаї стали 13 людей Фото: тайфун (GettyImages)

В результаті тайфуну в Китаї станом на ранок 10 серпня загинули 13 осіб. Про це повідомляє РБК-Україна з посиланням на Центральне телебачення Китаю.

Як повідомляється, в ніч з п'ятниці на суботу на схід Китаю обрушився тайфун "Лекіма". Найбільше від негоди постраждала китайська провінція Чжецзян, переселені 752 тис. осіб.

Через тайфун в Китаї загинули 13 людей, ще 16 осіб пропали без вісті, більше 200 будинків зруйновано, понад 3,2 тис. - пошкоджені. Також повідомляється, що в Шанхаї через негоду переселені 253 тис. осіб.

Нагадаємо, раніше повідомлялося до східного узбережжя Китаю наближається супертайфун "Лекіма". За даними метеорологів, "Лекіма" повинен стати найпотужнішим тайфуном з 2014 року. Через негоду в Китаї оголошено найвищий рівень небезпеки.

Також РБК-Україна повідомляло, що Індію накрила повінь. Через сильні зливи і селеві потоки, які тривають з 8 серпня, вже загинули 42 людини, ще 15 людей вважаються зниклими без вести. Місцеве населення переселяють в табори допомоги.

Или читайте нас там, где вам удобно!
Больше по теме: