ua en ru

До узбережжя Китаю наближається супертайфун "Лекіма"

10:34 09.08.2019 Пт
2 мин
Тайфун принесе сильні зливи і 10-бальний шторм
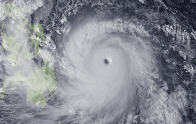
До узбережжя Китаю наближається супертайфун "Лекіма" Фото: тайфун (GettyImages)

До східного узбережжя Китаю наближається супертайфун "Лекіма", який повинен стати найпотужнішим з 2014 року. Про це повідомляє агентство Reuters.

Національний метеорологічний центр (NMC) заявив, що тайфун повинен був обрушитися вранці в суботу, 10 серпня, а потім повернути на північ. Центр випустив штормові попередження про найвищу (червону) небезпеку для області дельти річки Янцзи, яка включає Шанхай.

Очікується, що сильний дощ і шторм 10-го рівня обрушаться на Шанхай і триватимуть до неділі, при цьому 16 тис. жителів передмістя будуть евакуйовані. NMC попередив, що рівень опадів протягом 24 годин у східному Китаї може досягати 250-320 міліметрів з полудня п'ятниці до полудня суботи.

На деякі поїзди з Шанхаю призупинили продаж квитків у вихідні дні, і Пекін також заявив, що скасує кілька поїздів, що прямують в східні райони, які можуть постраждати від тайфунів, в район дельти Янцзи.

Тайвань вже скасував рейси і наказав закрити ринки і школи. Також відключено електрику в 40 тис. будинків, високошвидкісна залізниця острова призупинила більшість своїх послуг.

Влада острова випустила попередження про зсуви після землетрусу магнітудою 6, що обрушився на його північно-східне узбережжя в четвер, за кілька годин до настання тайфуну, який приніс у північних горах до 900 мм опадів. Понад 300 рейсів з Тайваню були скасовані, і круїзним лайнерам було запропоновано відкласти їх прибуття у Шанхай.

Ка повідомляло РБК-Україна, наприкінці липня - початку серпня тайфун "Віпа" обрушився на місто Веньчан провінції Хайнань на півдні Китаю. Швидкість вітру в епіцентрі доходила до 23 метрів в секунду.

Відзначимо, раніше на Філіппінах в результаті тайфуну "Мангхут", який викликав повінь і зсуви, загинули щонайменше 69 осіб, ще 43 постраждали. Від тайфуну "Мангхут", який став причиною масових руйнувань і жертв на Філіппінах, в Китаї постраждали більше 350 чоловік.

Или читайте нас там, где вам удобно!
Больше по теме: