ua en ru

Японія інформує туристів про наближення потужного тайфуну

03:41 11.10.2019 Пт
2 мин
У Японії відкрили додаткові лінії цілодобових кол-центрів на іноземних мовах
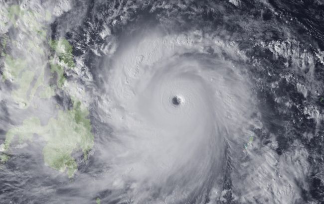
Японія інформує туристів про наближення потужного тайфуну Ілюстративне фото (Getty Images)

В Японії у зв'язку з наближенням тайфуну "Хагібіс" влада проводить додаткове інформування іноземних туристів, що перебувають на території країни. Про це в п'ятницю повідомляє РБК-Україна з посиланням на японське громадське телебачення NHK.

У Японському метеорологічному агентстві прогнозують, що "Хагібіс" буде порівнянний за силою з тайфуном "Іда", що обрушився на країну 61 рік тому та забрав життя понад 1,2 тис. осіб.

У зв’язку з цим відкрилися додаткові лінії цілодобових колл-центрів іноземними мовами, що надають туристам всю необхідну інформацію, пов'язану з наближенням тайфуну.

Крім того, туристів інформують за допомогою спеціальних застосунків, також різними мовами, і через соціальні мережі.

Зазначається, що кількість іноземних туристів, які перебувають наразі в Японії, значно перевищує середній показник для цієї пори року через Кубок світу з регбі, що триває в країні.

Через наближення тайфуну "Хагібіс" японські авіакомпанії вирішили скасувати близько 800 внутрішніх авіарейсів, запланованих на 12 жовтня, що становить майже 90% добових перевезень, також залізничний оператор JR ухвалив рішення у суботу скоротити кількість потягів на найбільш завантаженій лінії між Токіо та Осакою, а у другій половині дня повністю припинити сполучення на цьому маршруті

Раніше національне Метеорологічне управління офіційно попередило, що тайфун "Хагібіс" 12 і 13 жовтня пройде основною територією Японії і, можливо, завдасть удару безпосередньо по столиці країни.

Зараз тайфун рухається до Японії з південного сходу зі швидкістю 25 км/год, пориви вітру в його центральній частині сягають швидкості 50 м/с.

Нагадаємо, 7 жовтня президент США Дональд Трамп оголосив надзвичайний стан для Співдружності Північних Маріанських островів і поставив уряду завдання США допомогти місцевій владі відреагувати на тайфун "Хагібіс".

Или читайте нас там, где вам удобно!
Больше по теме: